Call us: (360) 446-4646
1-877-446-4647

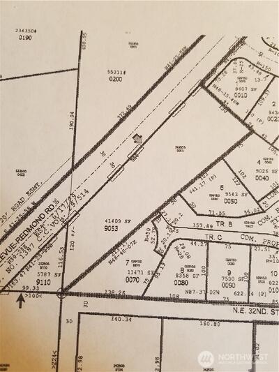
16020 NE Bel-Red Road in Bellevue

Listing ID:2478477 (Vacant Land)
Listing Price:$1,600,000
Days on Market:14

Details


Access to the land is shown on the plat of Ashbrook Subdivision. There are two access points available. Bellevue vacant land-there are drainage issues from Bel-Red Rd., seller willing to work with qualified buyer.


NWMLS

This listing is provided courtesy of NWMLS, contributed by RE/MAX Eastside Brokers, Inc.



Property Details

Schools

Elementary School:Buyer To Verify
Junior High:Buyer To Verify
Senior High:Interlake Snr High

Other

Possession:Closing
Style:41 - Res-Over 1 Acre
Sewer:In Street
YouTube Facebook LinedIn