Call us: (360) 446-4646
1-877-446-4647

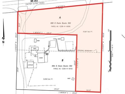
680 E State Route 302 in Belfair

Listing ID:2472718 (Vacant Land)
Listing Price:$134,900
Days on Market:116

Details


Build-ready 1.33-acre parcel with a 3-bedroom septic, private well, and gated driveway already installed. Power should be relatively easy and affordable to reconnect due to the existing infrastructure from a previously installed manufactured home. Enjoy level, usable topography with a blend of cleared space and mature trees. With no HOA or CC&Rs, you’re free to bring your RV, manufactured home, or build a stick-built home to suit your vision. Conveniently located with easy access to Hwy 3 - just 7 minutes south of Belfair and 5 minutes north of Allyn. Several State Parks, hiking trails, and access options to multiple lakes and the Sound are nearby. If you’re looking for a virtually turnkey site to set down some roots, this property is well worth a closer look!


NWMLS

This listing is provided courtesy of NWMLS, contributed by Windermere RE Puyallup, Inc.



Property Details

Surroundings

View:Territorial

Other

Possession:Closing
Style:41 - Res-Over 1 Acre
Sewer:Not Available

Similar Nearby Propertys

YouTube Facebook LinedIn