Call us: (360) 446-4646
1-877-446-4647

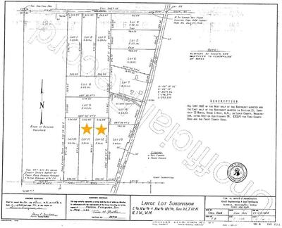
110 Frost Road in Winlock

Listing ID:2446165 (Vacant Land)
Listing Price:$149,950
Days on Market:12

Details


PreSale opportunity to build your dream home with 5% down. 2 level 5 acre parcels available. Build on one and sell the other. Choose any floorplan the builder offers and use their in house financing program to finance the land, utility development and the build on the level 5 acre parcels located within 10 minutes of Toledo. Come and see the endless potential this property provides from the level ground, county road access, and multiple potential homesites. Enjoy the serene outdoors while having privacy provided by the natural landscape. Property located within minutes from Lewis and Clark State Park. Buyer to do due diligence with county in regards to development potential. See MLS # 2446748 for additional parcel information.


NWMLS

This listing is provided courtesy of NWMLS, contributed by Epique Realty.



Property Details

Schools

Elementary School:Toledo Elem
Junior High:Toledo Mid
Senior High:Toledo High

Surroundings

View:Territorial

Other

Possession:Closing
Style:41 - Res-Over 1 Acre
Sewer:Not Available

Similar Nearby Propertys

YouTube Facebook LinedIn